자동차·항공 관련 업계
디지털 마이크로스코프를 이용한 주름 가공의 관찰·측정
주름 가공은 금속이나 플라스틱의 표면에 요철 무늬를 넣는 표면 가공입니다. 주름을 넣어 제품이 고급스러워 보이도록 할 뿐만 아니라 반사 및 미끄럼을 방지하는 등 기능성을 추가할 수도 있습니다. 여기에서는 디지털 마이크로스코프를 이용한 주름 가공 관찰·측정 사례를 소개합니다.

주름 가공이란
주름 가공이란 금속 및 플라스틱의 표면에 주름 무늬를 넣는 것입니다. 주름은 영어로 Texture라고 합니다. 주름 가공 시 단순한 요철 무늬뿐만 아니라 나뭇결, 가죽 무늬, 배 껍질 무늬, 기하학 무늬 등도 만들 수 있습니다.
주름 가공의 분류와 목적
디자인성 향상
- 고급스러워 보이도록 한다.
- 수축이나 웰드 라인 등의 성형 불량이 눈에 띄지 않게 한다.
- 오염 및 흠집이 눈에 띄지 않게 한다.
기능성 향상
- 빛을 확산하여 광택을 방지한다.
- 미끄럼 방지 효과를 부여한다.
- 밀착을 방지한다.
- 보습·발수 효과를 향상시킨다.
주름 가공의 종류
금형에 주름 가공을 하고 제품에 무늬를 전사하는 방법과 금속 표면에 직접 주름 가공을 하는 방법이 있습니다. 아래는 대표적인 가공 방법입니다.
- 에칭
- 가공하지 않을 부분을 마스킹하고 에칭액(부식제)으로 불필요한 부분을 제거하여 요철을 형성합니다. 가죽 주름이 대표적입니다.
- 샌드 블래스트
- 금형 캐비티에 미세한 연마재를 분사해 요철을 형성합니다. 연마재의 크기와 분사 강약으로 요철의 크기를 제어합니다. 배 껍질 무늬가 대표적입니다.
- 절삭 가공
- 소형 엔드밀로 금형을 절삭하여 요철을 형성합니다.
- 레이저 가공
- 레이저 광으로 금형 표면을 깎아내 요철을 형성합니다. 복잡한 기하학 무늬를 가공할 수 있습니다.
디지털 마이크로스코프를 이용한 주름 가공 관찰·측정 사례
KEYENCE의 4K 디지털 마이크로스코프 「VHX 시리즈」를 이용한 주름 가공의 최신 관찰·측정 사례를 소개합니다.

일반 화상

Optical Shadow Effect Mode 화상
Optical Shadow Effect Mode로 요철을 가시화할 수 있습니다.

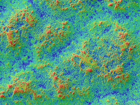
컬러 맵 화상
Color Map 화상에서 높이차를 색 차이로 표현할 수 있습니다.
자동차 시트의 주름 가공 관찰
ZS-20 20× 링 조명+멀티 라이팅


계기판(백색)의 주름 가공 관찰
VH-Z20 200× 링 조명+HDR

백색 주름 가공도 HDR 기능과 심도 합성으로 명확하게 관찰할 수 있습니다.
주름 가공 표면의 3D 프로파일 측정
VH-Z20 200× 링 조명

주름 가공 표면의 3D 화상 자동 면적 계측
VH-Z20 200× 링 조명



